コンテンツへスキップ
マリンスポット釣吉

マリンスポット釣吉

24時間年中無休・釣り具・釣り餌 南房総 館山への釣りはすべておまかせ

  • ホーム
  • 店内のご案内
  • 釣果アルバム
  • 元祖時合表
  • ミスター平砂浦
  • アクセス
  • ホーム
  • 店内のご案内
  • 釣果アルバム
  • 元祖時合表
  • ミスター平砂浦
  • アクセス

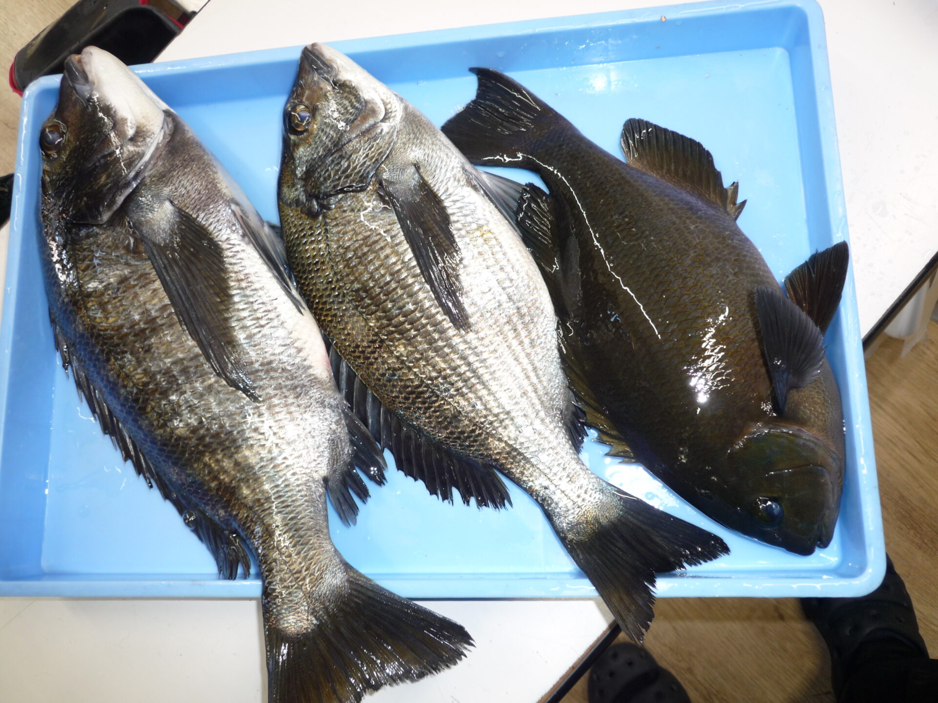
キヨシゲさん 黒鯛・メジナ

投稿日: 2026/02/01

黒鯛 42cm 1k200g 計2匹
メジナ 33cm

フカセ釣りで。
おめでとうございます!

投稿日: 2026/02/01作成者: マリンスポット釣吉
カテゴリー: 釣果アルバム
Prev
Next
釣果アルバム一覧を見る

投稿ナビゲーション

前の投稿

西森 靖さん 尾長

次の投稿

中村健司さん 黒鯛

  • ホーム
  • 店内のご案内
  • 釣果アルバム
  • 元祖時合表
  • ミスター平砂浦
  • アクセス

マリンスポット釣吉つりよし

24時間営業/年中無休

〒299-2414 千葉県南房総市富浦町福澤869-1

Tel 0470-33-2880

© 2023 マリンスポット釣吉.

Proudly powered by WordPress.